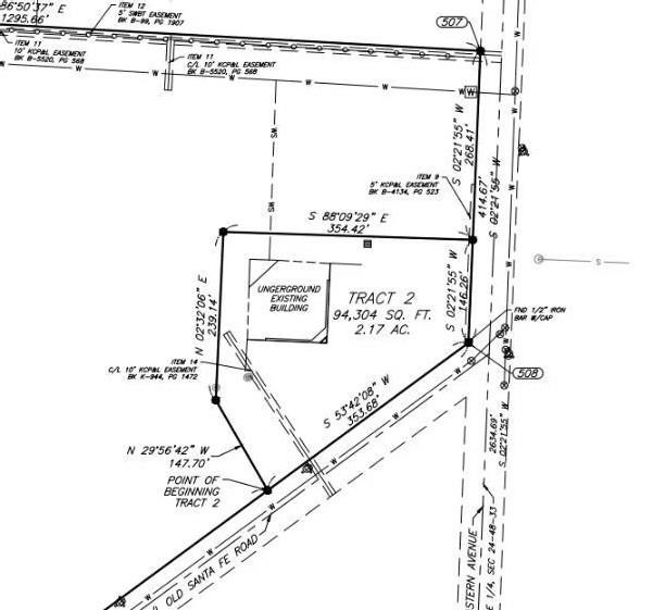
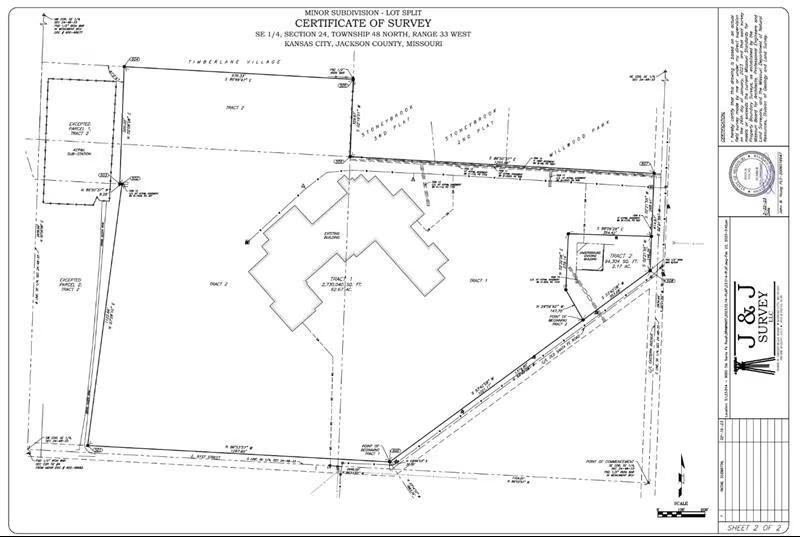
9000 Old Santa Fe Road, Kansas City, MO 64138

Mortgage Calculator

$795,000
 est. $4,826/mo

Gutted & Ready for Transformation – Office Opportunity with Full Architectural Plans 9000 Old Santa Fe Rd, Kansas City, MO 64138 ±12,075 SF | B3-2 Zoning | Ideal Owner-User or Investment Play Selling "AS IS" Unlock the potential of this rare standalone office building in south Kansas City. Located at a signalized intersection on Old Santa Fe Rd, this ±12,075 SF property has already been professionally gutted and is prepped for immediate renovation—with a full set of stamped architectural plans included in the sale. Skip the costly demo phase and start building right away. Highlights: • Clean slate: building interior fully gutted and ready for renovation • Includes complete construction documents for a modern office layout (designed by WSKF Architects) • B3-2 zoning allows for a wide variety of business uses • ±12,075 SF single-story footprint with great natural light potential • Ample on-site parking with multiple entry points • Hard corner lot at E 89th St and Old Santa Fe Rd—excellent visibility and access • Existing plans include offices, meeting spaces, break areas, wellness room, fitness space, and upgraded ADA restrooms • Buyer can build to suit or revise the existing plans as needed Ideal For: • Owner-users looking to customize their headquarters • Investors seeking a value-add asset with construction-ready potential • Medical, legal, engineering, or professional service firms • Creative space operators or coworking concepts Avoid the headache of demolition—this project is already ahead of schedule. With plans in hand and the building ready for construction, this is your opportunity to build the space your business or tenants actually need.

Directions
Take 87th Street eastbound from I-435. Turn south (right) on Old Santa Fe Rd, which turns into Eastern Ave. Turn west (right) on Old Santa Fe Rd. Property is on the left.
City
Kansas City
County
Jackson
Property Type
Commercial Sale / Office
Listing Updated
Jan 27, 2026 at 11:01am
MLS Number
2595973
Property Tax
$22,092
Zoning
$O
Disclaimer
The information displayed on this page is confidential, proprietary, and copyrighted information of Heartland Multiple Listing Service, Inc. (“Heartland MLS”). Copyright 2026, Heartland Multiple Listing Service, Inc. Heartland MLS, Elite Realty and Agent Jo do not make any warranty or representation concerning the timeliness or accuracy of the information displayed herein. In consideration for the receipt of the information on this page, the recipient agrees to use the information solely for the private non-commercial purpose of identifying a property in which the recipient has a good faith interest in acquiring.
The data relating to real estate displayed on this website comes in part from the Heartland Multiple Listing Service database compilation. The properties displayed on this website may not be all of the properties in the Heartland MLS database compilation, or all of the properties listed with other brokers participating in the Heartland MLS IDX program. Detailed information about the properties displayed on this website includes the name of the listing company.
Information is deemed reliable but is not guaranteed.

Copyright © 2026 ELITE Realty.